北方雾霾,南方高温,今秋天气为何频频失常?
最近的天气,你有没有觉得特别“不按套路出牌”?从10月下旬开始,一连串的“怪天气”让很多人直呼“没见过”。
10月20日以来,短短25天里,北方地区连续遭遇了4次大规模雾霾天气,其中从11月11日开始的两次雾霾天气更是首尾相接,直到11月14日。中央气象台还在发布大雾预警。这在往年习惯了秋高气爽的北方人看来,简直太反常了。
而11月中旬的南方,朋友们则还在享受“炎炎夏日”:广东广西沿海地区的气温最高仍能突破30度。不少当地人都纷纷表示受不了,只能让空调重新开启制冷模式。

11月14日下午3点华南气温色斑图 | 作者提供
更让人惊讶的是台风。它们就像开了挂,一个接一个地生成,而且全部向我国方向移动。
10月底,台风“潭美”给海南带来了特大暴雨;10月31日到11月1日,超强台风“康妮”不仅登陆了我国台湾,还沿福建浙江一路北上,给华东带来了11月份罕见的最强暴雨。
紧随其后,“银杏”“ 桃芝”“ 万宜”“天兔”这4个台风相继生成,一度上演了“四台风共舞”的奇特景观。其中“桃芝”让香港天文台发出了二战后最晚的八号风球,而“天兔”和“万宜”都有可能登陆我国。

11月14日下午2点西北太平洋和我国南海的三个台风示意图 | 作者提供
这些天气有多反常?
从气象数据来看,今年秋季的天气确实创下了不少纪录。
全国大部分地区的气温相比历史同期都明显偏高,且偏高的程度是罕见的。从10月15日~11月13日的全国气温距平图可见,全国几乎所有地方都大幅偏暖,尤其是内蒙古局部地区,气温比往年同期高出6度以上。
与此同时,北方的大雾天数严重偏多,9月1日至11月8日北京地区大雾日数为12.6天,比近5年同期多出了91%。而广州南部则经历了史上最长夏天,创下了235天的“夏天”纪录。

11月4~13日全国气温距平实况图 | 中央气象台
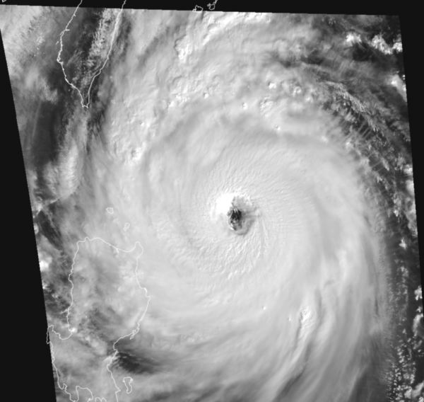
而在海面上,台风们也在刷新纪录。11月同时出现4个台风的情况,是有气象记录以来的头一次。其中“康妮”更是创下了好几个“之最”:它是有记录以来历史同期登陆我国的环流最大台风,也是10月下旬登陆我国台湾的最强台风,还是11月最靠近福建、浙江的台风。

10月30日超强台风康妮卫星云图 | 作者提供
反常天气为何扎堆?
虽然原因很复杂,但这么多怪天气的背后,有一个共同的原因,那就是大气和海洋在持续变暖的趋势。
大气变暖带来了一系列连锁反应:因为大气变暖,今年秋季全国大部分地区才会偏暖如此严重,华南沿海才会经历史上最长的夏天;也是因为大气变暖,今年秋天的冷空气严重偏弱,暖湿气流严重偏强,北风小而湿度大,这导致空气中的水汽变多而大气扩散条件变差,才会有这么多的大雾天气。

2024年9月1日~11月13日全国平均气温距平分布图 | 国家气候中心
因为海洋变暖,11月的我国南海、台湾以东洋面才会有27度以上海温,足以支持台风发展和强台风维持;菲律宾以东洋面直到11月中旬还有29度以上的深厚暖水层,足以支持多个台风发展,甚至发展成超强台风。

11月14日西北太平洋和我国南海表层海温色斑图 | 作者提供
不管是从我国的观测资料,还是从全球的探测和再分析资料来看,1961年以来,包括我国在内,全球的变暖趋势确凿无疑,而且这种趋势还在加速。
大气和海洋变暖,意味着同等体积的大气和海水拥有更多热量,同等体积的大气能容纳更多水汽,有能力制造更多的极端天气。
如果变暖趋势不变,极端天气总体会越来越多,越来越频繁,强度也越来越大。
这就是为什么我们能够直观地感觉到“怪天气”越来越多。

6月1日至8月31日全国平均气温历年变化(1961~2024年) | 国家气候中心
不过,气候变暖带来的极端天气并不都表现为高温、大雾和台风。有时候,它反而会带来出人意料的急骤寒潮、暴雪或冻雨,甚至一些从未见过、闻所未闻的天气。
就像2016年1月,我国中东部地区出现了极端寒潮天气,珠三角地区难得地飘起了雪花;2024年1~2月,江汉平原乃至长江中下游平原多省则经历了少见的冻雨天气,这都是之前很少见到的。

2024年2月4~6日,冻雨中的武汉气温曲线图 | 作者提供
这是因为大气和海洋变暖之后,会引发大气环流系统一些不可预知的变化,譬如说引起西风带剧烈振荡,这就容易发生极端寒潮。
换句话说,气候变暖让大气环境变得更“任性”了,天气变化也更难捉摸。
好在,我们现在有越来越先进的数值预报和人工智能预报模型,有全球最大的观测网,天气预报的准确程度在不断提升。但是,极端天气的本质就是打破常规,就像运动员会不断刷新世界纪录一样,极端天气也会不断创造新的气象纪录,因此极端天气仍然难以精确预报。

使用ECMWF模型绘制的热带气旋路径集合趋势图 | 作者提供
多变的天气已经成为我们生活的“新常态”,我们普通人该如何应对呢?
与其抱怨,不如了解并接受极端天气越来越多的事实,积极调整我们的生活节奏,给自己多留些余地。其实只要稍加留意,就能从日常生活中学会“看天气”。比如留意天气预报中提到的冷暖空气活动,关注天气变化对自己生活的影响。

11月14日上午8点亚欧登陆500百帕位势高度和850百帕温度等形势,强冷空气即将南下 | 作者提供
就拿即将南下的这股冷空气来说,虽然它的强度本身不算特别强,但由于前期我国气温实在太高,加上南方还有台风吸引,降温幅度可能会超出我们的预期。建议大家备好足够的厚衣服,适时增减衣物,让自己能更从容地面对这次降温。
毕竟,了解天气、适应天气变化,已经成为现代生活中的一项实用技能。就像我们会查看路况来规划行程一样,关注天气变化也能帮助我们更好地安排生活和工作。
尤其是在极端天气越来越多的当下,这一点或许更为重要。
本文来自微信公众号:果壳,作者:郑远,编辑:Steed
相关推荐
北方多地高温,南方持续强降雨,背后有哪些因素?
梅雨将至,住在哪里才能有晾衣自由?
科比直升机与空管对话曝光 一度因雾霾盘旋无法降落
华南暴雨倾盆,极端天气为何频现?
北极圈现37.8度高温:后果不仅是“北极绿了”这么简单
高温激活市场为何空调经销商依然焦虑?
用电负荷破纪录,今年极端高温会更严重吗?
京津冀多地超40℃高温,为啥这么热?还会热多久?
极端天气频发,我们该如何守护自己的“饭碗”?
北方经济增速超过南方,北方正在崛起?
网址: 北方雾霾,南方高温,今秋天气为何频频失常? http://www.xishuta.cn/newsview128577.html
推荐科技快讯
- 1问界商标转让释放信号:赛力斯 95792
- 2报告:抖音海外版下载量突破1 25736
- 3人类唯一的出路:变成人工智能 25175
- 4人类唯一的出路: 变成人工智 24611
- 5移动办公如何高效?谷歌研究了 24309
- 6华为 nova14深度评测: 13155
- 7滴滴出行被投诉价格操纵,网约 11888
- 82023年起,银行存取款迎来 10774
- 9五一来了,大数据杀熟又想来, 9794
- 10手机中存在一个监听开关,你关 9519
